PONTEDERA — TRA CENTRO ED ZONA OLTRERA — TERRATTETTO ANGOLARE DI 250 MQ CON TERRAZZA ABITABILE di mq 35.
In posizione centrale, vicina a tutti i servizi, terratetto angolare al momento suddiviso IN DUE APPARTAMENTI AL PRIMO PIANO E 2 FONDI COMMERCIALI AL PIANO TERRA, DI CUI UNO A REDDITO.
Piano terra 2 NEGOZI di circa 40 mq ciascuno.
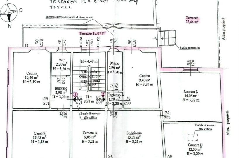
Piano primo 2 APPARTAMENTI CON TERRAZZA DI MQ 35, UNO composto da: ingresso, soggiorno-cucina con accesso al terrazzo, camera matrimoniale e bagno finestrato. IL SECONDO appartamento di circa 85mq composto da: ingresso, cucina abitabile, soggiorno, due camere matrimoniali e bagno.
Rif. 2341
Categoria: residenziale
Tipologia: terratetto
Provincia: PI
Comune: Pontedera
Piano: -3
Frazione/Quartiere: Centro
Indirizzo: via giacomo matteotti 148
Classe energetica:
Indice di prestazione energetica: kwm2 – 0.00
Vani: 12
Camere: 4
Camere doppie: 1
Camere singole: 1
Camere matrimoniali: 2
Bagni: 3
Cucina: abitabile
Soggiorno: si
Terrazzo: mq35
La Struttura Dispone Di
- Ingresso indipendente




